Taguri: Carolina de Sud Cel puţin două persoane au murit, iar altele opt au fost rănite, în urma unui atac armat în Carolina de Sud JONES, VICTORIE LA DARLINGTON. Americanul i-a devansat pe Larsson și Busch SCANDALUL burgerilor din carne de om din Carolina de Sud. Autoritățile au publicat rezultatul analizelor Cel mai scump avion de vânătoare din lume, consemnat la sol A scos arma şi a împuşcat: Un poliţist a fost ucis, iar alţi şase au fost răniţi în Carolina de Sud Cel puţin 98.000 de locuinţe din trei state americane au rămas fără curent din cauza uraganului Florence Peste 1,7 milioane de oameni, evacuaţi din calea uraganului Florence. Viteza vântului depăşeşte 220 km/h MOMENTUL ÎNSPĂIMÂNTĂTOR în care o tânără urmărită în trafic de poliție este aruncată din mașină (VIDEO) Revoltă într-o închisoare de maximă securitate din Carolina de Sud. Șapte deținuți au murit Trei amatori de sporturi extreme s-au distrat făcând surf pe fluviile din Carolina de Nord şi Carolina de Sud TRAGIC. Un elev a murit în timp ce era la şcoală, după ce a băut trei energizante SCENE HORROR! Inundaţiile din SUA scot sicriele din morminte. Zeci de morţi plutesc pe străzi (VIDEO) Uraganul Joaquin a lovit coasta statului american Carolina de Sud O biserică a fost CUPRINSĂ DE FLĂCĂRI. Zeci de pompieri, mobilizaţi să stingă focul Familie modernă: Mama - urangutan, iar copiii - tigri (VIDEO) EMOŢIONANT! O broască ţestoasă gigant a primit o nouă şansă la viaţă (FOTO/VIDEO) Puhoaiele au luat viaţa unui american, iar altul este căutat Fostul speaker al Camerei Reprezentanţilor - potenţial contracandidat al lui Obama 1 ABCDEFGHIJKLMNOPQRSTUVWXYZ IMPORTANTE ALTELE
Cel puţin două persoane au murit, iar altele opt au fost rănite, în urma unui atac armat în Carolina de Sud
SCANDALUL burgerilor din carne de om din Carolina de Sud. Autoritățile au publicat rezultatul analizelor
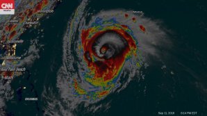
Cel puţin 98.000 de locuinţe din trei state americane au rămas fără curent din cauza uraganului Florence
Peste 1,7 milioane de oameni, evacuaţi din calea uraganului Florence. Viteza vântului depăşeşte 220 km/h
MOMENTUL ÎNSPĂIMÂNTĂTOR în care o tânără urmărită în trafic de poliție este aruncată din mașină (VIDEO)
Trei amatori de sporturi extreme s-au distrat făcând surf pe fluviile din Carolina de Nord şi Carolina de Sud
SCENE HORROR! Inundaţiile din SUA scot sicriele din morminte. Zeci de morţi plutesc pe străzi (VIDEO)