Taguri: Florence Numele Florence şi Michael, RETRASE de pe lista uraganelor DEZASTRU în Statele Unite, provocat de uraganul Florence. 17 oameni şi-au pierdut viaţa în urma inundaţiilor Asteroidul Florence se va apropia astăzi de Pământ. Când va avea loc următoarea întâlnire similară cu Terra (FOTO/VIDEO) 1 ABCDEFGHIJKLMNOPQRSTUVWXYZ IMPORTANTE ALTELE
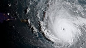
DEZASTRU în Statele Unite, provocat de uraganul Florence. 17 oameni şi-au pierdut viaţa în urma inundaţiilor
Asteroidul Florence se va apropia astăzi de Pământ. Când va avea loc următoarea întâlnire similară cu Terra (FOTO/VIDEO)