Taguri: furtună tropicală A doua furtună tropicală a sezonului, se formează în bazinul Atlanticului Furtuna tropicală Erick s-a transformat în uragan şi se îndreaptă spre Hawaii Furtuna tropicală Barry traversează statul Louisiana: Crește riscul producerii unor inundaţii de amploare Locuitorii din New Orleans s-au baricadat în spaţii închise în aşteptarea furtunii tropicale Barry THAILANDA, AMENINŢATĂ DE POBUK. Vântul va sufla cu 140 km/h şi vor fi valuri de 7 m Cel puţin 12 morţi şi cinci dispăruţi în sudul Vietnamului, în urma furtunii Toraji Stare de urgenţă în Louisiana şi Mississippi, după ce furtuna tropicală Gordon a ajuns pe coasta golfului american Coasta de sud a Statelor Unite se pregăteşte pentru uraganul Gordon. Guvernatorul statului Louisiana a declarat stare de urgenţă No comment: O cantitate uriaşă de deşeuri a ajuns pe plaja unei populare staţiuni din Mexic Furtuna tropicală Son Tinh a ucis 27 de oameni în Vietnam Furtună catastrofală în Madagascar. Cel puţin 20 de perosane au murit Taifunul Khanun din China care a lăsat în urmă peste 368.000 de persoane afectate, scade din intensitate Un nou uragan amenință Mexicul. Acesta ar putea să crească în intensitate până când va ajunge deasupra uscatului O groapă de şapte metri adâncime s-a format în orașul Ciudad de Mexico, după ploile abundente Persoanele dispărute în urma furtunii Harvey, căutate cu ajutorul rețelelor de socializare Furtuna Otto a devenit uragan de categoria 1 și amenință America Centrală Taifunul Nangka a atins sudul Japoniei. Dezastrul a fost inevitabil Imagine EXTRAORDINARĂ surprinsă din spaţiu de un astronaut de la bordul SSI Stare de urgenţă în Suedia. Țara se confruntă cu grave incendii de pădure Două taifunuri au măturat totul în cale după ce au lovit Japonia şi China (VIDEO) Furtuna tropicală Andrea ameninţă Florida Furtuna tropicală Isaac a făcut prăpăd în Haiti (VIDEO) Vremea rea face ravagii în Caraibe O parte a Planetei este inundată, iar alta se confruntă cu o secetă fără precedent (VIDEO) Ploi cu grindină în Ucraina şi incendii de proporţii în Rusia şi SUA A treia furtună tropicală ameninţă insulele Filipine Alertă maximă în Caraibe! O furtună tropicală va lovi Haiti şi Republica Dominicană Crater URIAȘ apărut din senin sub patul unei bătrâne din Guatemala 1 ABCDEFGHIJKLMNOPQRSTUVWXYZ IMPORTANTE ALTELE
Furtuna tropicală Barry traversează statul Louisiana: Crește riscul producerii unor inundaţii de amploare
Stare de urgenţă în Louisiana şi Mississippi, după ce furtuna tropicală Gordon a ajuns pe coasta golfului american
Coasta de sud a Statelor Unite se pregăteşte pentru uraganul Gordon. Guvernatorul statului Louisiana a declarat stare de urgenţă
Taifunul Khanun din China care a lăsat în urmă peste 368.000 de persoane afectate, scade din intensitate
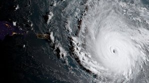
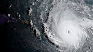
Un nou uragan amenință Mexicul. Acesta ar putea să crească în intensitate până când va ajunge deasupra uscatului