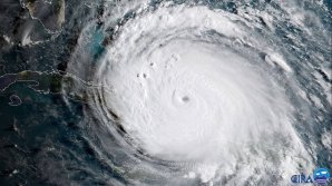
Taguri: satelitul GOES-16 NASA a publicat o imagine geocoloră a uraganului Irma, capturată de satelitul GOES-16 1 ABCDEFGHIJKLMNOPQRSTUVWXYZ IMPORTANTE ALTELE