Taguri: uraganul Maria Puerto Rico: Bilanţul uraganului Maria a fost modificat la 1.427 de persoane Uraganul Maria a ucis peste 4.600 de oameni în Puerto Rico PUBLIKA WORLD: Pană de curent în Puerto Rico. Peste un milion de oameni afectaţi Viaţa după o săptămână de la uraganul Maria este devastatoare: fără electricitate, internet și lipsă de securitate Beyonce îşi lansează prima piesă după naştere. Banii vor fi donaţi victimelor uraganelor Concert caritabil pentru victimele din Puerto Rico, cu Jay-Z și Jennifer Lopez la New York Uraganul Maria pe sfârşite. Va slăbi în intensitate până marți și va deveni o furtună tropicală Jennifer Lopez va dona 1 milion de dolari pentru lichidarea pagubelor provocate de uraganul Maria Situaţie de urgenţă în Puerto Rico. Un dig a cedat în urma ploilor torenţiale. Zeci de mii de oameni evacuaţi Stare de alertă în Puerto Rico. Peste 70.000 de oameni au primit ordin de evacuare CARITATE! Jennifer López și Marc Anthony și-au unit eforturile pentru a ajuta Puerto Rico, zonă devastată de uraganul Maria PUBLIKA WORLD: Uraganul Maria a inundat Republica Dominicană (VIDEO) PUBLIKA WORLD: Stare de catastrofă în Puerto Rico. Uraganul Maria a DISTRUS complet statul insular (VIDEO) PUBLIKA WORLD. Uraganul Maria a provocat inundaţii majore şi pagube de proporţii în Puerto Rico (VIDEO) PUBLIKA WORLD. Uraganul Maria a făcut prăpăd. Străzi inundate, mașini în derivă şi acoperișuri smulse Milioane de oameni din Puerto Rico au rămas fără energie electrică din cauza uraganului Maria Uraganul Maria a făcut primele victime. Un om a murit, după ce stihia a lovit insula Guadalupe Uraganul Maria urmează să lovească astăzi, în plin, Puerto Rico Roosevelt Skerrit: Am pierdut tot ce poate fi cumpărat, în urma uraganului Maria Populaţia din Puerto Rico va fi evacuată din cauza creşterii în intensitate a uraganului Maria Imagine spectaculoasă făcută de un satelit. Imaginea termică a uraganului Maria obținută de Suomi NPP 1 ABCDEFGHIJKLMNOPQRSTUVWXYZ IMPORTANTE ALTELE
Viaţa după o săptămână de la uraganul Maria este devastatoare: fără electricitate, internet și lipsă de securitate
Situaţie de urgenţă în Puerto Rico. Un dig a cedat în urma ploilor torenţiale. Zeci de mii de oameni evacuaţi
CARITATE! Jennifer López și Marc Anthony și-au unit eforturile pentru a ajuta Puerto Rico, zonă devastată de uraganul Maria
PUBLIKA WORLD: Stare de catastrofă în Puerto Rico. Uraganul Maria a DISTRUS complet statul insular (VIDEO)
PUBLIKA WORLD. Uraganul Maria a provocat inundaţii majore şi pagube de proporţii în Puerto Rico (VIDEO)
PUBLIKA WORLD. Uraganul Maria a făcut prăpăd. Străzi inundate, mașini în derivă şi acoperișuri smulse
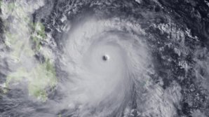
Imagine spectaculoasă făcută de un satelit. Imaginea termică a uraganului Maria obținută de Suomi NPP