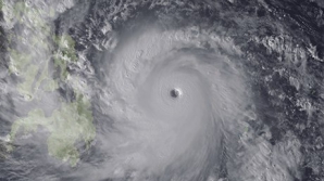
Taguri: vânturi Taiwanul, în alertă terestră și maritimă în fața apropierii taifunului Megi 1 ABCDEFGHIJKLMNOPQRSTUVWXYZ IMPORTANTE ALTELE