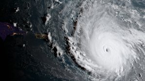
Taguri: vieti pierdute A început sezonul uraganelor în SUA. Mii de oameni îşi fac provizii de apă şi mâncare 1 ABCDEFGHIJKLMNOPQRSTUVWXYZ IMPORTANTE ALTELE